骨盤とボディメイクは?
パーソナルトレーナーやボディメイクトレーナーをはじめ、専門家がよく使う「骨盤」、きっとよく耳にする言葉だと思います。骨盤とボディメイクの関係について、きちんと理解してからボディメイクしても遅くはありません。むしろ、そうした方が、無駄な時間も労力もカットでき、遠回りしなくてすみます。
骨盤=ボディメイク
骨盤=女性
ヨガ、ピラテス、女性向けパーソナルトレーニング、女性専用ジムや、女性雑誌、女性向けネット記事など、 「骨盤」「骨盤ボディメイク」「骨盤ダイエット」というキーワードが、定番の一つとなっています。
まず、「骨盤」で認識していただきたいのが、骨盤とボディメイクトレーニングとの関係は、産後の女性だけのものではないことです。産後はまず骨盤トレーニングとか、産後だから骨盤体操からスタートとか、そういうことではありません。
事実、「骨盤」という言葉の運動やトレーニングをしているにも関わらず、
・モデルのようにきれいには痩せなかった・・・
・モデルのようにすらっとした体型にならなかった・・・
・痩せなかった・・・
こんな女性から悲鳴のような相談があとをたちません。
ダイエット専門トレーナーやパーソナルトレーナーとうたっている人でさえ、
・骨盤の歪みを治してダイエット・・・
・骨盤の前後傾き(骨盤前傾・骨盤前傾)を調整して・・・
・骨盤の左右の歪みを治してしてトレーニングを・・・
という程度の知識で、素人相手には分からないだろうからと、「骨盤」というもっともらしく聞こえる言葉で濁してボディメイクトレーニング指導にあたっているのが現状なのです。
あなたも分かったような分からないような、こんな「骨盤」という言葉に翻弄されたことはありませんか?
骨盤において、まず一番大事なのは、「骨盤のあそび」を適切な状態にしてあげることです。

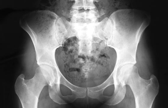
骨盤の写真をみてみましょう。
骨と骨の間の適切な「すきま」が見えますか?
この適切なすきまこそ、「骨盤のあそび」を作ってくれる基礎です。そして、この「骨盤のあそび」は、すきまがありすぎても、なさすぎてもボディメイクするには良くありません。現実にはすきまがありすぎという女性よりも、すきまが無さすぎで骨盤回りがガチガチに固まっている女性が以外に多いものです。
スタイルの良いトップモデルには、当然「骨盤のあそび」があります。トップモデルは、この「骨盤のあそび」が適切であるから、少しトレーニングしただけでも、すぐにボディメイク効果が出るのです。また、こういう「骨盤のあそび」が適切であるから、ジョギングしても脚やふくらはぎが太くならないのです。
きれいに痩せるには、まずはトップモデルの骨盤と同じ、適切な「骨盤のあそび」を作らなければなりません。適切な「骨盤のあそび」はボディメイクの基礎中の基礎なのです。
骨盤左右のゆがみ、骨盤前後の傾きより、何よりも先にこの「骨盤回りガチガチ」を解決し適切な「骨盤のあそび」のある状態にしないないことには、ダイエットやボディメイクところではないのです。
「骨盤の適切なあそび」とは、車のハンドルのようなものです。ハンドルにあそびがないと車はまっすぐに進みませんね。まっすぐに進まない車に、どんなに素晴らしいエンジンつけても意味がないのと同じなのです。
つまり、「骨盤回りガチガチ」対策しないでの、骨盤左右のゆがみ、骨盤前後の傾き調整を行ったところでは、残念ながら意味がないのは力学的に考えても当然であるというのは、ちょっと考えれば分かるものだと思います。
逆に骨盤のガチガチ状態がボディメイクトーニング開始して早い段階で解消されれば、見た目のシルエットや体型の変化はもちろん、体重の落ちもぐんぐん加速するのです。
それなのにもかかわらず、これを意外に忘れがちなもの・・・。
だからといって、「骨盤回りガチガチ」状態のガチガチ取るのに、いきなりバランスボールに載って腰動かして・・・みたいな、ありきたりな骨盤トレーニングということやってしまうと、かえってガチガチを助長してしまうことになることは周知の通りでしょう。
また、その骨盤にあそびがない状態で、ビッグ3(BIG3)といわれるバーベルなどで行う複合種目のスクワット、デッドリフト、ベンチプレスなんかでトレーニングしてしまうのは、さらに、そのガチガチを助長させてしまいます。なぜなら、これらのトレーニング種目の動きは身体の面に対し画一的な直線的な身体動作ばかりだからです。
さらには、「骨盤回りガチガチ」対策しないで、骨盤の傾きやらゆがみやらのトレーニングしても、さらにガチガチになっていきます・・・。
つまり、骨盤に適切なあそびがない骨盤ガチガチ状態で、BIG3といわれるバーベルなどで行う複合種目のスクワット、デッドリフト、ベンチプレスのトレーニングしても、メリハリ付けるボディメイクはもちろん、ダイエットさえも思うように痩せないという結果に陥りってしまうのです。
さらには「骨盤回りガチガチ」状態で、やみくもに下半身エクササイズすることは、女性ボディメイクの場合危険です。日本人に多い下半身ががっちりした農耕民族体型の場合は特に危険です。ふくらはぎや太ももを優先的に使ってしまいふくらはぎや太ももがパンパンになってしまうからです・・・。
女性にとって、ふくらはぎや太ももがパンパンになることは嫌ではありませんか?
ふくらはぎや太ももがパンパンになりたいのなら別ですが・・・。
では、適切な「骨盤のあそび」を作るにはどうしたらよいでしょうか?
バランスボールにのって骨盤を動かしてやってというような1点だけのレベルの対処では意味がないことは力学的にもすぐご理解できるかと思います。関節角度を骨盤だけという1点だけで調節するようなものと同じで効果がないことは当然です。いくら「骨盤のあそび」といえども、他の関節との適切な連動があっての「あそび」が必須なのです。
またマッサージや整体でも、意味がないのは周知のことと思います。なぜなら、骨盤周りにも筋肉は存在していて、その骨盤回りに各筋肉ごとのバランス調整が必要で、それには、少なからずとも自力で筋肉を動かしてトレーニングすることが必要であり他力本願の手技では筋生理学的にみても不可能だからです。
ただ痩せるだけのダイエットは当たり前、さらにバランス良く痩せたいとお考えの女性にとって、重要な第一関門「骨盤のあそび」対策を適切に行うことが非常に大切です。そして、個々の身体に合った適切に「骨盤のあそび」を作る必要があります。
さらには、骨盤を横から見た傾き(骨盤前傾、骨盤後傾、骨盤垂直)は、体型のラインを変える上で、物理的に必須です。
ただ、これも、 この「骨盤のあそび」が大前提の基に、骨盤の傾きを修正して行かないと、付きたく部分に偏った筋肉がつきます。
偏った筋肉を使うトレーニングは、ただ辛いだけのトレーニングなることでしょう。
プロモデル身体作りで培われたハイクオリティなパーソナルトレーニング

プロモデルは、痩せるダイエットのための運動やトレーニングはしません。プロモデル身体作りで培われた、ファッションのためのハイクオリティなボディメイクパーソナルトレーニング。
パーソナルトレーナー

Modelsでは、指導歴30年パーソナルトレーナーおぜきとしあきが、パーソナルトレーニングします。 ”ボディメイク=ファッション” Modelsのパーソナルトレーニングは、スポーツトレーニング 、ボディメイクコンテスト系トレーニングとは一線を画します。
一般向け
パーソナルトレーニング
- ✔︎ 洗練された姿勢にしたい女性
- ✔︎ 無理なく身体を動かしたい女性
- ✔︎ 体力をアップさせたい女性
- ✔︎ バランスよく筋肉をつけたい女性
- ✔︎ 体型ラインを変えたい女性
Modelsの一般女性向けパーソナルトレーニング受講までの流れ、パーソナルトレーニング料金、受講ルールなどについて、こちらをご覧ください。
プロ向け
パーソナルトレーニング
- ✔︎ 人に見られる機会の多い女性
- ✔︎ 人前に立つ職業の女性
- ✔︎ ファッションモデルを目指す女性
Modelsのプロ向けパーソナルトレーニング受講までの流れ、パーソナルトレーニング料金、受講ルールなどについて、こちらをご覧ください。
ボディメイク方法
下半身痩せしたいから下半身を使うエクササイズを多く!こう思い、下半身やせエクササイズに励む女性がたくさん。下半身痩せにいいからと、闇雲に下半身エクササイズしたりしていませんか?しかし自身の骨格に合ったフォームでないと、ヒップや太ももがかえって筋肉で大きくなる可能性が大。ここが下半身エクササイズのジレンマともいえ、ボディメイクしているのに・・
モデルボディメイク実績NO.1パーソナルトレーナーおぜきとしあきの長年のモデル指導経験から、トップモデルは一般人にはない「モデル筋」と呼ばれる筋肉部位が発達していることが分かっています。モデル筋を付ければモデル骨格になれ、自動的にモデル体型になります。モデル筋をつければ、トップモデルと同じ直線的なモデル体型ラインにボディメイクできるのです。
ウエストには腹筋種目をたくさん入れば脂肪が取れる?もしそういうお考えでしたら大変なことです!結論からいえば、ボディメイクはこのような単純なものではないのです。逆に、腹筋エクササイズをやらなくてもお腹の脂肪は取れ、ウエストお腹は細くなるものなのです。痩せにくい身体を変えるには、結果が出る女性のための本物のボディメイクが必要でなのです。
すらっとしたまっすぐな細い棒足、いわゆるモデル脚は、足を出すファッションが主流の中で、モデルばかりでなく、いまや全女性の必須アイテムともいえるものになってきました。モデル脚ボディメイクは、一般的には脚の細くすることだけに目がいきがちですが、モデル脚ボディメイクには脚のラインの直線感を出すことが最大のポイントです。
モデル体型ボディメイクでは、全体的な脂肪を落としたり気になる部分の形を変えたり、姿勢や骨格のシルエットを直線的な関節角度にし体型ラインを整えます。トップモデルと同じモデル筋をつけることによりモデル体型に磨きかけます。そして、仕上げにはモデル身体機能をつけてあげ完璧に仕上げていくのが本当のモデル体型ボディメイクなのです。
ふくらはぎを細くきれいにボディメイクするにはまず、あなたのふくらはぎが太くなっている原因を客観的に判断する必要があります。ふくらはぎが太くなっている原因としては、①脂肪がついて太くなっている場合、②筋肉で太くなっている場合、③これらが2つ合併している場合があり、②③の場合はふくらはぎ筋肉を減らすボディメイクが必須。
骨盤という言葉が、女性ボディメイクや女性ダイエットトレーニングの定番になっていますが、骨盤を整えるボディメイクでも、女性らしくは痩せなかった、モデルのようにすらっとした体型にならなかった、全く痩せなかった・・と、悲鳴のような骨盤ボディメイク相談があとをたちません。骨盤というもっともらしく聞こえる言葉で濁しているボディメイクに、もう限界を感じませんか?
姿勢の良い女性は美しいしカッコイイ。姿勢が良いだけで痩せてみえる。きっと誰もがそう思うことでしょう。頑張って痩せてダイエットしも美しい姿勢でなければ、すらっと見えず、ボディメイクが台無しではないでしょうか?姿勢を意識のせいにはしない、本物のボディメイクでは、美しい姿勢は土台となる骨格の関節角度から変えていくボディメイクトレーニングでおこないます。
二の腕痩せしようと二の腕エクササイズしても、なかなか二の腕が細くならない経験ありませんか?またダイエットしても、二の腕は細く見えないことありませんか?二の腕が気になるから、二の腕種目をたくさん入れるとかと耳にしますが、二の腕エクササイズだけを行っても、ほとんど二の腕の脂肪減や細くする効果がないことは、もうあなたも実感しているのではないでしょうか?
痩せる身体メカニズムやダイエットできる仕組みを本当にご理解していますか?痩るには食べないのが一番?痩せるには運動は不要?ダイエットジムや女性専用ボディメイクジムに通うと痩せる?有酸素運動をしたら脂肪が燃える?テレビで次々に紹介される食材や本屋に並ぶエクササイズの本・・。一体、どれが本当なのかわからない!!というのが本音ではないでしょうか。
“ボディメイク=ファッション”、トップモデルのようにどんな服でも着こなせるような服を選ぶ体型に、思い通り自在にファッションを楽しむように身体をボディーメイキングします。それは本物のボディメイクでしかできないものです。服に選ばれるのではなく服を身体にボディメイクするのです。ファッションを楽しむように体型を自在にボディメイクをしませんか。







